
Natuurlijk zijn er ook wat foto's gemaakt!
Ik longeer haar altijd zonder bijzet, touwtjes, stiek, pessoa of wat dan ook, omdat het mijn mening is dat nagevelijkheid rijtechnisch te verkrijgen is en niet door dit soort hulpteugels

Aan de longe ben ik erg bezig met lengtebuiging, tempo-controle en ontspanning.
En het loont

Hier mijn knappe Sproet!
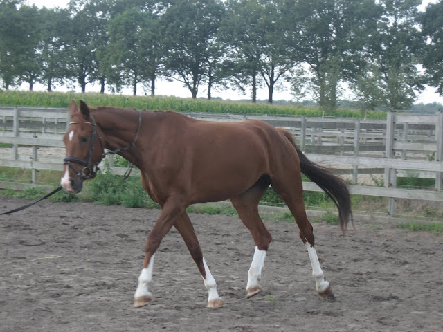
1.
Nog wat gespannen, wel mooi van achteren uit! (let vooral op de mooie, net gewassen voeten
)2.
Al mooi horizontaal

3.
En zo wil ik ze aan de longe hebben
Nog wat minder binnendoor maar dat is mijn eigen fout!4.
Galopje, nog veel onbalans. Hier probeer ik haar alleen nog maar te ondersteunen, meer niet!
5.
6.
7.
Weer een galopje

8.
Gaat al de goede kant op

9.
Stiekem ben ik best verliefd aan het worden

10.
En zij vind mij ook wel een klein beetje lief

Waar ik erg aan moet werken is mijn verbinding met haar, dat ik die niet rommelig laat worden maar gewoon elastisch

