Graag opbouwende kritiek. Hou het vriendelijk aangezien dit pas de derde keer longeren was voor mij met haar.
Avanti is en bijna 4 jarige merrie van Matterhorn.
Ze is nog echt een 'puppy' om het zo maar even te zeggen.
Ik verzorg haar nu een maandje ongeveer en ik heb besloten om eerst maar wat grondwerk en longeerwerk te doen om elkaar zo beter te leren kennen. Ik ben een beetje mijn zelfvertrouwen kwijtgeraakt na een val van een paard.
Hier komen de foto's.
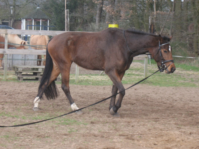
Hier hangt de longeerlijn nog wat los omdat ze het contact nog moest zoeken met mij, we waren net begonnen.
Kijk draven doe ik met mijn ogen dicht

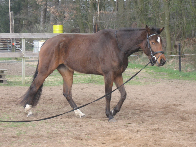
Na een tijdje begint ze al te ontspannen...
Ze kan ook mooi kijken!

Nog een keer stappen tussendoor, oortje mooi naar binnen!
Mooi opwaarts.
En als laatste, moe maar zeer voldaan! en zeer tevreden!
Nu je er toch bent kun je ook wel een berichtje achterlaten!

Ben benieuwd wat jullie er vinden.
Groetjes Inge en Avanti

en de volgende keer dan toch maar weer een "professionele" fotograaf meenemen
(*rent hard weg*) 


