Wat vinden jullie? Nieuwe indeling van het erf.

Moderators: NadjaNadja, Essie73, Muiz, Polly, Telpeva, ynskek

Toevoegen aan eigen berichten
 
 
Kaatje81
Berichten: 147
Geregistreerd: 14-07-08

Wat vinden jullie? Nieuwe indeling van het erf.

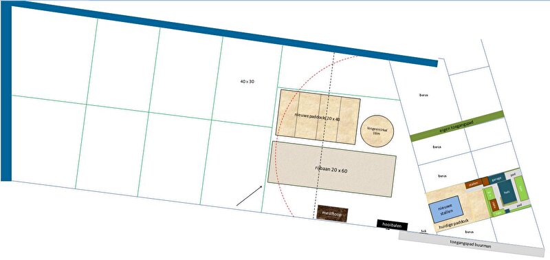
Link naar dit bericht Geplaatst door de TopicStarter : 10-07-16 20:32

Afbeelding

1,5 jaar geleden hebben wij ons eigen stekkie gekocht waar onze paarden aan huis staan.
In de huidige indeling hebben wij 5 stallen (3 + 2) direct achter ons huis. Daarachter de paddock/rijbaan en daarachter de wei.
Vanwege de huidige afmetingen van de paddock/rijbaan willen we in de toekomst de rijbaan vergroten naar 20 x 60. Binnen het huidige bestemmingsplan is dit mogelijk mits we binnen 100 meter van onze achtergevel blijven (ronde rode stippellijn).
Als de rijbaan verplaatst is zouden wij heel graag, waar nu de paddock/rijbaan is, een nieuwe schuur plaatsen (10 x 15) met 6 boxen, 1 poets/spuitplaats, opslagruimte en voergang. Dit mag niet binnen het huidige bestemmingsplan, maar ja, vragen kan altijd :-).
De oude stallen breken we dan af zodat we een grotere tuin hebben.
Om het helemaal af te maken willen wij achter de nieuwe rijbaan paddocks maken en een longeercirkel. De rest blijft weiland.
Ons eigen toegangspad gebruiken wij niet. Wij gebruiken het pad van de buurman omdat deze breder is en beter toegankelijk voor grote machines. Ons eigen pad willen we wel vrij houden voor het geval we deze toch nodig hebben in de toekomst.

Wat vinden jullie van de nieuwe indeling? Tips en ervaringen zijn welkom!