Geslaagde hengstenkeuring Groninger Paard

Moderators: Essie73, NadjaNadja, Muiz, Telpeva, ynskek, Ladybird, Polly

Toevoegen aan eigen berichten
 
 
Muronia

Berichten: 22220
Geregistreerd: 29-04-09
Woonplaats: Aan het kanaal, achter de spoordijk

Re: Geslaagde hengstenkeuring Groninger Paard

Link naar dit bericht Geplaatst: 23-02-16 13:36

Tiwi, weet je de stokmaat van Fedor ook nog misschien?

jacqii

Berichten: 333
Geregistreerd: 22-10-06

Link naar dit bericht Geplaatst: 23-02-16 20:27

Afbeelding

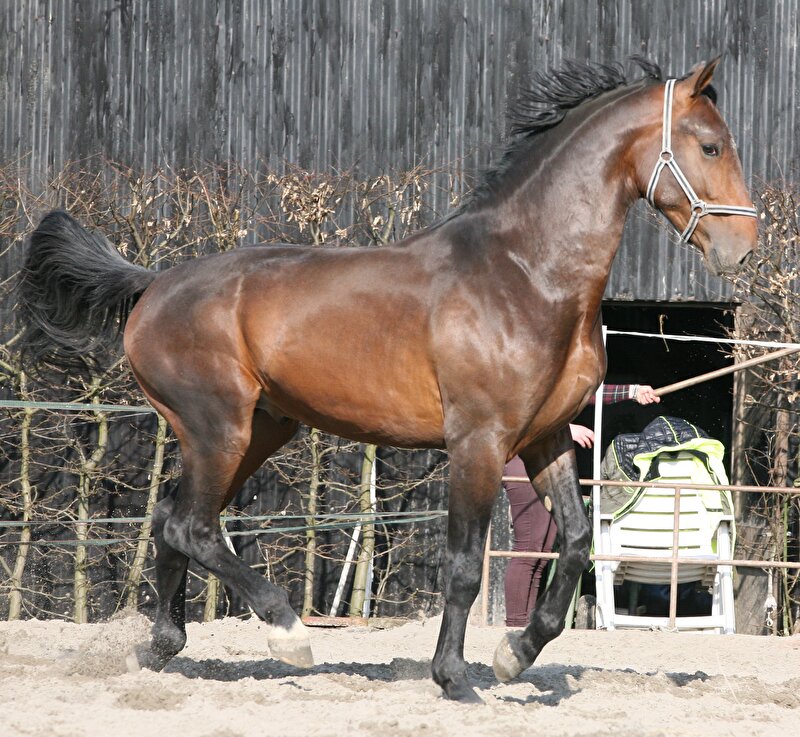
Ik vind Ravinus een erg mooie hengst. Hij was erg gespannen en heeft zich niet goed laten zien.
Het was kort maar op de foto is wel te zien dat het erin zit.

_San87_
BKB 2024 winnaar 2D

Berichten: 49012
Geregistreerd: 18-05-09
Woonplaats: Het bos

Re: Geslaagde hengstenkeuring Groninger Paard

Link naar dit bericht Geplaatst: 23-02-16 20:28

Hij lijkt zo uitverhouding... Kleine voetjes onder een grof lichaam.

Kabayo

Berichten: 16694
Geregistreerd: 30-05-12

Re: Geslaagde hengstenkeuring Groninger Paard

Link naar dit bericht Geplaatst: 24-02-16 09:55

Heb je toevallig ook fotos van meinart , eros , elgar of amstel?

GeraldineVD
Berichten: 1024
Geregistreerd: 10-04-11

Link naar dit bericht Geplaatst: 24-02-16 11:23

Het lijkt of ze bij het GrP wel erg veel concessies doen aan correct voetenwerk (te klein, soms ongelijk),
aan de voorbeenstand (te steil, neigt naar overkoot) én ook nog eens aan de motor; de kracht in de achterhand. Veel hengsten trokken sporen met hun achterbenen die een heel eind 'na' kwamen. De hengsten liepen nogal eens op de bluf (staart erop; dan loopt zelfs een Shet nog spectaculair). Verder zag ik te korte halzen en een recht achterbeen, beide niet bevorderlijk voor een gebruikspaard.

Ik denk dat het aanbod van hengsten minimaal is, anders zou de selectie van vaderdieren vast wel nauwkeuriger zijn.

MiniMouse

Berichten: 3052
Geregistreerd: 23-08-06
Woonplaats: Odijk

Re: Geslaagde hengstenkeuring Groninger Paard

Link naar dit bericht Geplaatst: 24-02-16 14:09

Het hele stamboek Groninger paard is klein.( en word alsmaar minder)
Dus er zullen zeker concessies gedaan worden. Maar om nou te spreken van slechte hengsten...

Anoniem

Link naar dit bericht Geplaatst: 24-02-16 19:04

InekeN je kunt een Groninger nu eenmaal niet vegelijken met een kwpner.
Ze zijn wat eenvoudiger in beweging en qua type hebben ze een andere type omschrijving dan vereist is bij het kwpn.

De oudere Groningers lopen gewoon correct en dat zie je prima wanneer de hengsten wat uitgerend zijn.
Ik heb bij de oudere hengsten nog geen ongelijke voeten gezien of gigantisch verkeerde beenstanden.

Bij Ravinus denk ik wel dat ze die concessie hebben gedaan om de reden die iemand hier al eerder gaf.

Iris_92
Berichten: 182
Geregistreerd: 23-02-16

Link naar dit bericht Geplaatst: 24-02-16 19:21

Murosch, ik dacht dat Fedor een stokmaat van 163 had..

MiniMouse

Berichten: 3052
Geregistreerd: 23-08-06
Woonplaats: Odijk

Link naar dit bericht Geplaatst: 24-02-16 21:31

Oke....
Ik ken Ravinus al van veulen af aan.
Op jonge leeftijd zag ik al dat dit een goede was. Het is echt een goede, fijne brave en vooral mooie hengst.

Beenstand is geen correcte benaming voor wat jullie zien. Kootstand wel. .
Kootstand is 50 graden gemeten dus inderdaad aan de steile kant van de gewenste 45-50 graden.

Wat jullie achter zien in de beweging op het filmpje zijn twee dingen.
Ten eerste dat hij meer stuwend is dan dragend. Maar dat is wel wat typisch voor het Groninger paard is. Het zijn van oorsprong landbouwpaarden en geen dressuurcracks.
Ten tweede dat hij draait in het spronggewricht. Dat heet biljarderen.
Dat ziet er inderdaad wat vreemd uit. Maar mensen met echt veel kennis van paarden weten dat biljarderen over gaat zodra hij ouder wordt en sterker.
Verder heeft dit paard 100% gelijke voeten.

Over de punten:
Hij is op eigen kracht goedgekeurd en ook nog voorlopig premiehengst geworden! Als hij slecht zou zijn (en deze jury is erg ervaren dus die hadden dat gezien) dan had hij minder dan de benodigde 70 punten gekregen. Om vervolgens op grond van zijn afstamming na het behalen van minimaal 65 punten toch aangewezen te worden. Die mogelijkheid staat in het keuringsreglement.
Overigens ben ik het er direct mee eens dat hij aan de hand zich van zijn allerslechtste kant liet zien.
Zo ken ik hem echt niet.
Achterin de baan (dus aan de andere kant als op het filmpje) was het rustiger en trad hij ècht mooi onder zoals je het graag ziet.

Het blijft een moment opname, maar deze hengst heeft zeker zijn titel verdiend!

tiwi1969

Berichten: 8044
Geregistreerd: 04-04-10
Woonplaats: in een huis met een tuintje

Link naar dit bericht Geplaatst: 24-02-16 21:33

Ik heb bij Ravinus geen ongelijke of opvallend kleine voeten gezien. Wel een typisch achterbeen gebruik.

Kleine voeten zie je niet zo vaak bij de Groningers, eerder te groot, breed of zelfs plat.

Ik heb bij Fedor 1.64 staan.

GeraldineVD
Berichten: 1024
Geregistreerd: 10-04-11

Link naar dit bericht Geplaatst: 24-02-16 22:34

Ik heb geen enkele naam van een paard genoemd, dus ik zou niet weten waarom er op een specifiek paard ingegaan wordt.

Een stuwende achterhand was vroeger net zo min gewenst bij de Groningers als nu. Ze waren destijds juist erg sterk van achteren. Niet sterk en werkwillig voor het werk betekende simpelweg een enkele reis slager, de selectie was wat dat betreft een stuk scherper.
Ik heb de keuring live gezien, dus niet op een filmpje.
Uiteraard zijn het geen KWPN'ers. Wij hebben zelf 2 Alt Oldenburger hengsten, dus ik denk wel ongeveer te weten wat het verschil is ;) En nee, daar hebben wij beslist geen hoge dressuurverwachting van, dat is nou eenmaal ook niet hetgeen waarvoor ze specifiek gefokt zijn.
De voeten van een robuust paard met massa horen daar evenredig mee in verhouding te zijn. Te kleine voeten geeft vroeg of laat problemen.
Biljarderen gaat (helaas) lang niet altijd over wanneer het paard wat ouder wordt. Daarbij kun je je afvragen of slapheid (waarvan biljarderen een gevolg is) een gewenste eigenschap is voor een fokhengst.
Het goedkeuren van paarden met een steil, te weinig gehoekt achterbeen helpt daar ook niet bij.
Groningers hadden van oudsher een imponerend front én een lange hals met royale keeluitsnijding. Dat wordt steeds zeldzamer bij de huidige paarden, er zijn er nogal wat 'op de kop' gefokt of met een hals die te diep uit de borst komt.

Al met al naar mijn mening deze editie een matig aanbod aan hengsten, maar dat kan volgend jaar natuurljk maar zo heel anders zijn, wat ik van harte hoop, want een goede, gezonde, duurzame Groninger daar worden veel mensen blij van.

janderegelaa
vanaf nu met een R erachter

Berichten: 17529
Geregistreerd: 10-01-06

Re: Geslaagde hengstenkeuring Groninger Paard

Link naar dit bericht Geplaatst: 24-02-16 22:49

Ik wil beslist de KWPN-of NRPS keuring niet ophemelen maar als ze van het Groninger stamboek (en een aantal andere kleine stamboeken) het concept van de kooi eens over zouden nemen dan krijg je een veel completer beeld en je weet zeker dat alle hengsten hetzelfde moeten laten zien. Ik vind het nu een beetje knullig hoe er met een zweep achteraan gejaagd wordt. En het is echt niet veel moeite, gewoon een paar balken in een patroon neerleggen. 4 vaste aanjagers erbij en je bent er.

GeraldineVD
Berichten: 1024
Geregistreerd: 10-04-11

Link naar dit bericht Geplaatst: 26-02-16 10:27

Zou idd het beeld al wat realistischer en hopelijk ook objectiever maken Janderegelaar. Hopelijk nemen ze het over, kan met weinig moeite en menskracht.

jacqii

Berichten: 333
Geregistreerd: 22-10-06

Re: Geslaagde hengstenkeuring Groninger Paard

Link naar dit bericht Geplaatst: 26-02-16 11:46

zou inderdaad een betere oplossing zijn!

Anoniem

Link naar dit bericht Geplaatst: 26-02-16 11:57

janderegelaa schreef:
Ik wil beslist de KWPN-of NRPS keuring niet ophemelen maar als ze van het Groninger stamboek (en een aantal andere kleine stamboeken) het concept van de kooi eens over zouden nemen dan krijg je een veel completer beeld en je weet zeker dat alle hengsten hetzelfde moeten laten zien. Ik vind het nu een beetje knullig hoe er met een zweep achteraan gejaagd wordt. En het is echt niet veel moeite, gewoon een paar balken in een patroon neerleggen. 4 vaste aanjagers erbij en je bent er.


Ik neem aan dat je bedoeld dat er balken op staanders gelegd worden? Want balken op de grond daar stappen ze gewoon overheen :')

Een soort van lint van staander naar staander lijkt mij ook wel een oplossing.

janderegelaa
vanaf nu met een R erachter

Berichten: 17529
Geregistreerd: 10-01-06

Link naar dit bericht Geplaatst: 23-03-16 15:42

OsMo schreef:
janderegelaa schreef:
Ik wil beslist de KWPN-of NRPS keuring niet ophemelen maar als ze van het Groninger stamboek (en een aantal andere kleine stamboeken) het concept van de kooi eens over zouden nemen dan krijg je een veel completer beeld en je weet zeker dat alle hengsten hetzelfde moeten laten zien. Ik vind het nu een beetje knullig hoe er met een zweep achteraan gejaagd wordt. En het is echt niet veel moeite, gewoon een paar balken in een patroon neerleggen. 4 vaste aanjagers erbij en je bent er.


Ik neem aan dat je bedoeld dat er balken op staanders gelegd worden? Want balken op de grond daar stappen ze gewoon overheen :')

Een soort van lint van staander naar staander lijkt mij ook wel een oplossing.

Nee er liggen balken op de grond (2x) in een ruitvorm. Meestal nog een bloembakje erin en ze gaan er keurig tussendoor.

sanne_1989
Berichten: 1
Geregistreerd: 23-03-16

Link naar dit bericht Geplaatst: 23-03-16 22:47

Meindert is inderdaad niet zo onderstandig als dat op de foto doet blijken.

Afbeelding
Laatst bijgewerkt door Essie73 op 23-03-16 23:41, in het totaal 1 keer bewerkt
Reden: link naar website verwijderd