flugel @ work aan de longe

Moderators: Essie73, Coby, balance, Firelight, Dyonne, NadjaNadja, Neonlight, Sica, C_arola

Toevoegen aan eigen berichten
 
 
amigamia

Berichten: 840
Geregistreerd: 09-04-05
Woonplaats: ridderkerk

flugel @ work aan de longe

Link naar dit bericht Geplaatst door de TopicStarter : 04-09-07 17:40

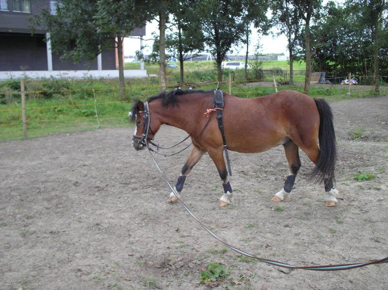
ik heb een paar mooie foto 's gemaakt van flugel toen hij aan het werk was aan de longe . Ja ik weet dat de longeersingel niet goed ligt maar hij is veels te dik en daardoor verschuift hij steeds . We zijn hard bezig om hem te laten af vallen en aankomende zaterdag heeft ze haar eerste priveles met hem . nou hier komen de foto's . En als het lukt zet ik ook het filmpje erop die ik toen heb gemaakt.

eerst even kroelen met het vrouwtje Haha!
Afbeelding

eerst losstappen
Afbeelding

en toen aan het werk Haha!
Afbeelding

eerst stappen
Afbeelding

een lekker drafje
Afbeelding

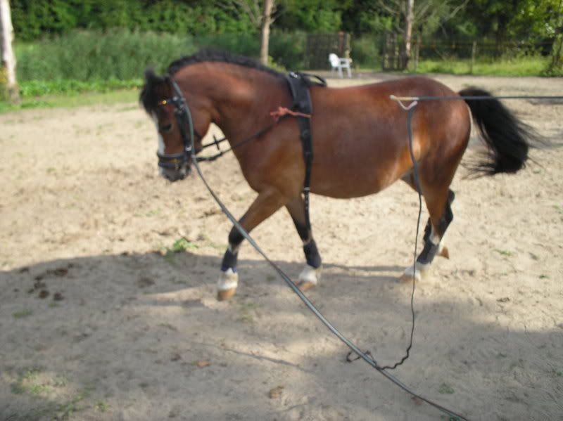
en nog een keer draven
Afbeelding

een galopje
Afbeelding

nog een keer galop
Afbeelding

en weer draven
Afbeelding

deze is echt mooi , lekker actief draven Haha! Kwijl
Afbeelding

en nog een keer draven
Afbeelding

en nog een keertje
Afbeelding

en lekker uitstappen
Afbeelding

en toen waren we klaar Haha!
Afbeelding

en hier het filmpje
http://s21.photobucket.com/albums/b253/ ... 010390.flv

nou dit waren ze weer .

_Marleen_

Berichten: 2921
Geregistreerd: 26-12-04
Woonplaats: Edam

Re: flugel @ work aan de longe

Link naar dit bericht Geplaatst: 04-09-07 17:55

Ik vind het er niet echt fijn en ontspannen uitzien.
Door die soort van bijzetteugels kan hij maar in 1 houding lopen, en dat is niet eens een ontspannen houding.
Ik zou je eens met pessoa adviseren of dubbele longe, want nu ziet het er echt niet ontspannen uit.
Ook lijkt het rondje waar hij op moet lopen wat te klein, geef hem lekker de ruimte op een grotere volte.
Met een pessoa kan je je pony lekker over de rug laten lopen, wat ikzelf heel belangrijk vind. Het is heel
goed voor de rugspieren, want ik zie geen 1 foto bij jou waar hij lekker ontspannen loopt.
Zo loopt mijn eigen pony op een pessoa:

Afbeelding

Vooral met galop zie je dat hij veel meer ruimte nodig heeft (die hij niet krijgt en daardoor gaat trekken om het op te zoeken)
en hij zet z'n rug helemaal vast. Ik vind het een beetje richting een zielig gezicht gaan... Scheve mond

veel succes, ik hoop dat je mijn tip gaat gebruiken.

xxx marleen
Laatst bijgewerkt door _Marleen_ op 04-09-07 18:06, in het totaal 2 keer bewerkt

Casarell

Berichten: 10031
Geregistreerd: 15-02-06
Woonplaats: Drunen

Re: flugel @ work aan de longe

Link naar dit bericht Geplaatst: 04-09-07 18:01

En de pony is niet alleen te dik waardoor de singel naar voren schuift..
Hij kan nooit zover over de schoft schuiven als hij goed aangesingeld zou zijn..
Bovendien is er dan ook nog zoiets als een staartriem..

Ook ziet het er niet helemaal lekker uit voor em..
Je pony moet niet aan de teugel lopen op die plek, maar juist met zijn neus over de grond, net als die foto van uitstappen..
En als de foto van hier boven..

Peppaa
Berichten: 3
Geregistreerd: 15-05-07

Re: flugel @ work aan de longe

Link naar dit bericht Geplaatst: 04-09-07 18:02

Hoihoi,

Je longeersingel moet echt meer naar achteren, hij zit op een verkeerde plek. Ik zou haar ook wat meer de ruimte geven, dit rondje is té klein. En doe de volgende keer de elastieken niet zo strak. Ze zit erg ze zoeken waar ze haar hoofd moet houden, dit zou ze in alle rust moeten ontdekken. Het is niet zomaar wat om nageefelijk te lopen. Doe die elastieken een heeeel stuk langer, zodat het bitje af en toe een beetje heen en weer gaat in haar mond. Dan zou ze vanzelf snappen welke plaatst ze haar hoofd het best kan houden, dit is absoluut niet ontspannen voor haar. Ga hier niet mee verder. Ik hoop dat je mijn advies opvolgt, want dit is zeer slecht voor haar rug.

Groetjes, Emma

deniece

Berichten: 1796
Geregistreerd: 13-08-07

Re: flugel @ work aan de longe

Link naar dit bericht Geplaatst: 04-09-07 18:03

Ik vind het filmpje echt heel erg om te zien
de stap en draf gaan nog wel,
maar de bijzetteugels zitten zo strak en het meisje wat hem longeerd wanneer hij moet galoperen is in mijn ogen veel te streng.
Lijkt dat ze hem op een gegeven moment écht hard slaat terwijl hij gewoon galopeerd. Hij trok dan misschien wel naar buiten maar dat is geen reden om hem eerst vol in de mond te trekken en daarna nog is een flinke tik te geven. Dan zal je de ontspanning in de galop zeker niet vinden op die manier.

Ook moet hij wel een hele kleine volte galoperen, je longeerlijn is niets voor niets 10 meter lang. Laat hem dan minstens 7 meter om je heen lopen en niet 5. En al helemaal niet tijdens de galop en ook neit als hij zo hard gaat.

Sorry dit is mijn mening en ik schrok gewoon van dit filmpje.

Ben het met _Marleen_ eens; probeer een pessoa of dubbele longe en probeer hem meer op stem te rijden want zo te zien heeft hij energie genoeg, die zweep er constant bij is echt niet nodig.

Casarell

Berichten: 10031
Geregistreerd: 15-02-06
Woonplaats: Drunen

Re: flugel @ work aan de longe

Link naar dit bericht Geplaatst: 04-09-07 18:09

Had het filmpje niet eens gezien...............

Ik vind dit echt diep triest...
De pony wil wel vooruit maar kan niet eens vooruit omdat ie geen ruimte heeft aan de vookant!!!!

In stap maakt ie zijn passen niet af..
In draf heeft ie geen zweefmoment meer..
En in galop alleen maar onbalans........

Gewoon schandalig!

_Marleen_

Berichten: 2921
Geregistreerd: 26-12-04
Woonplaats: Edam

Re: flugel @ work aan de longe

Link naar dit bericht Geplaatst: 04-09-07 18:14

@Femmefatale

Ik ben het met je eens maar ze heeft meer aan tips

xxx marleen

Latruda

Berichten: 2096
Geregistreerd: 23-02-07
Woonplaats: De Hunnebed Hoofdstad!

Re: flugel @ work aan de longe

Link naar dit bericht Geplaatst: 04-09-07 18:21

ik moet eerlijk zeggen ik schok ook van het filmpje.. waarom nog zo opjagen terwijl hij al gallopeerd??
ik ben het met _marleen_ eens
Laatst bijgewerkt door Latruda op 04-09-07 18:22, in het totaal 1 keer bewerkt

Casarell

Berichten: 10031
Geregistreerd: 15-02-06
Woonplaats: Drunen

Re: flugel @ work aan de longe

Link naar dit bericht Geplaatst: 04-09-07 18:21

_Marleen_ schreef:
@Femmefatale

Ik ben het met je eens maar ze heeft meer aan tips

xxx marleen


Heb ik al eerder gegeven in mijn eerste bericht...

Arlette1991

Berichten: 737
Geregistreerd: 20-04-06
Woonplaats: Barchem

Re: flugel @ work aan de longe

Link naar dit bericht Geplaatst: 04-09-07 18:22

ik vond de foto's er wel leuk uitzien, maar schrok van het filmpje!
doordat je hem zo strak bijzet loopt hij soms gewoon onregelmatig en hij gaat ook alleen maar meer zijn hoofd proberen omhoog te doen zo!

tips:
losser bijzetten
grotere rondjes laten lopen

horsiegek

Berichten: 2376
Geregistreerd: 09-10-05
Woonplaats: Ergens tussen de paarden

Re: flugel @ work aan de longe

Link naar dit bericht Geplaatst: 04-09-07 18:29

Sorry hoor, tips zijn al gegeven.. Maar ik vind dit echt diep triest. Pony loopt onregelmatig.. En een keer in de galop geeft ze hem echt een rot klap! Die pony verdient beter. Hij doet zo goed ze best...

amigamia

Berichten: 840
Geregistreerd: 09-04-05
Woonplaats: ridderkerk

Re: flugel @ work aan de longe

Link naar dit bericht Geplaatst door de TopicStarter : 04-09-07 18:34

ten eerste kennen jullie die pony niet , ten tweede is het rondje niet zo klein als het lijkt . hij heeft ruimte genoeg . je moet hem zeker niet meer ruimte geven want hij gaat ervan door met je , verder doet hij dit ook als hij niet aan de bijzet of dubbele longe loopt . Verder doet hij zijn hoofd altijd omhoog ook als er niets aanhangt .verder heeft deze pony 6 jaar lang een luizenleven gehad en nu hij wat moet gaan doen gaat het niet goed . Hij probeert je gewoon het licht uit je ogen te slaan als hij de kans krijgt. Hij is wel van een 9 jarige meisje die hier wel normaal op moet kunnen rijden , Daarom dat we ook professionele hulp hebben gezocht en die komt een zaterdag . als hem meer ruimte gaf met het longeren dan viel hij naar binnen en ik kan je verzekeren als hij naar binnen valt en hij krijgt de kans dan zal hij het niet laten om je proberen te trappen .Verder heeft het meisje dat hem aan het longeren is hem niet aangeraakt met de zweep .ik was er zelf bij .Verder als jullie denken dat jullie het zo goed kunnen dan nodig ik jullie uit om het zelf eens te komen proberen met hem . Verder is dit de eerste keer dat hij aan de longe loopt en kunnen de reacties ook wel wat minder fel .

amigamia

Berichten: 840
Geregistreerd: 09-04-05
Woonplaats: ridderkerk

Re: flugel @ work aan de longe

Link naar dit bericht Geplaatst door de TopicStarter : 04-09-07 18:35

horsiegek schreef:
Sorry hoor, tips zijn al gegeven.. Maar ik vind dit echt diep triest. Pony loopt onregelmatig.. En een keer in de galop geeft ze hem echt een rot klap! Die pony verdient beter. Hij doet zo goed ze best...


waar zie jij die klap dan . Ik stond er zelf bij en ik kan je verzekeren dat hij niet is aangeraakt met die zweep .

Arlette1991

Berichten: 737
Geregistreerd: 20-04-06
Woonplaats: Barchem

Re: flugel @ work aan de longe

Link naar dit bericht Geplaatst: 04-09-07 18:37

bello schreef:
horsiegek schreef:
Sorry hoor, tips zijn al gegeven.. Maar ik vind dit echt diep triest. Pony loopt onregelmatig.. En een keer in de galop geeft ze hem echt een rot klap! Die pony verdient beter. Hij doet zo goed ze best...


waar zie jij die klap dan . Ik stond er zelf bij en ik kan je verzekeren dat hij niet is aangeraakt met die zweep .



al werd hij niet geslagen, de bijzet zit veel te strak en met galloperen word hij ook flink in zijn mond gerukt.

amigamia

Berichten: 840
Geregistreerd: 09-04-05
Woonplaats: ridderkerk

Re: flugel @ work aan de longe

Link naar dit bericht Geplaatst door de TopicStarter : 04-09-07 18:40

en waarom wordt dat gedaan , het zijn rukjes omdat hij er vandoor wou gaan , en ga nou niet zeggen van dat komt omdat de bijzet te straks zit , want zonder bijzet doet hij dit ook .

Latruda

Berichten: 2096
Geregistreerd: 23-02-07
Woonplaats: De Hunnebed Hoofdstad!

Re: flugel @ work aan de longe

Link naar dit bericht Geplaatst: 04-09-07 18:42

bello schreef:
en waarom wordt dat gedaan , het zijn rukjes omdat hij er vandoor wou gaan , en ga nou niet zeggen van dat komt omdat de bijzet te straks zit , want zonder bijzet doet hij dit ook .


en net zeg je dat dit de 1e keer is dat ie word gelongeerd??

edit: typfout

Peppaa
Berichten: 3
Geregistreerd: 15-05-07

Re: flugel @ work aan de longe

Link naar dit bericht Geplaatst: 04-09-07 18:46

Die proffecionele hulp is heeel hard nodig, als hij zo vervelend is, waarom longeer je hem dan?! Je kan het niet eens. Doe die bijzet nog strakker joh, misschien luisterd hij dan. Pff, sommige mensen. Dit hadden ze niet bij ons op stal moeten zien zeg. Jullie hebben echt nog een hoop lessen nodig.

Ldev

Berichten: 1396
Geregistreerd: 21-02-07

Re: flugel @ work aan de longe

Link naar dit bericht Geplaatst: 04-09-07 18:48

Het filmpje ziet er niet bepaald ontspannen uit, je zou ook rustig aan kunnen doen, je haalt steeds de zweep achter hem langs waardoor hij harder gaat en op een gegeven moment in galop gaat, hierbij trok hij je haast omver.
Als je dan in het vervolg niet steeds met die zweep loopt te zwaaien doet hij misschien ook wat rustiger.
Je jaagt hem alleen maar op en daagt hem zo uit hoor.

amigamia

Berichten: 840
Geregistreerd: 09-04-05
Woonplaats: ridderkerk

Re: flugel @ work aan de longe

Link naar dit bericht Geplaatst door de TopicStarter : 04-09-07 18:51

Latruda schreef:
bello schreef:
en waarom wordt dat gedaan , het zijn rukjes omdat hij er vandoor wou gaan , en ga nou niet zeggen van dat komt omdat de bijzet te straks zit , want zonder bijzet doet hij dit ook .


en net zeg je dat dit de 1e keer is dat ie word gelongeerd??

edit: typfout

ik bedoel dus met bijzetteugel ,verder heb ik hem altijd sinds dat we hem hebben zonder bijzet gelongeerd en dan doet hij het ook dus ik zeg alleen dat het hier niet aan kan liggen .

_Marleen_

Berichten: 2921
Geregistreerd: 26-12-04
Woonplaats: Edam

Re: flugel @ work aan de longe

Link naar dit bericht Geplaatst: 04-09-07 18:52

bello schreef:
ten eerste kennen jullie die pony niet , ten tweede is het rondje niet zo klein als het lijkt . hij heeft ruimte genoeg . je moet hem zeker niet meer ruimte geven want hij gaat ervan door met je , verder doet hij dit ook als hij niet aan de bijzet of dubbele longe loopt .


Wij kunnen toch zelf op het filmpje zien dat het rondje niet groot genoeg is?

bello schreef:
Verder doet hij zijn hoofd altijd omhoog ook als er niets aanhangt .

Het is logisch dat hij z'n hoofd altijd omhoog doet, dat doen alle paarden als je zonder toeters en bellen longeert.
Wat denk je er dan mee te bereiken om hem alsnog zo hoog te laten lopen? Hij doet het immers toch altijd ... Kan je er net zo
goed niks aan hangen.

bello schreef:
verder heeft deze pony 6 jaar lang een luizenleven gehad en nu hij wat moet gaan doen gaat het niet goed . Hij probeert je gewoon het licht uit je ogen te slaan als hij de kans krijgt. Hij is wel van een 9 jarige meisje die hier wel normaal op moet kunnen rijden , Daarom dat we ook professionele hulp hebben gezocht en die komt een zaterdag .

Dat hij ''6 jaar lang een luizenleven heeft gehad'' wil nog niet zeggen dat je hem zo kan longeren (behandelen).
Je kan hem beter écht aan het werk zetten, pessoa is snel een pittige training waarbij ook een actieve achterhand, rug en hals
worden gevraagd. Met zo'n bijzet word er niks van hem gevraagd, alleen om zn kop de lucht in de lucht te houden.

Ik zie ook in het filmpje dat de overgang stap-draf heel moeizaam gaat, dit omdat hij geen ruimte van voren heeft om vlot weg
te draven.

bello schreef:
als hem meer ruimte gaf met het longeren dan viel hij naar binnen en ik kan je verzekeren als hij naar binnen valt en hij krijgt de kans dan zal hij het niet laten om je proberen te trappen .

Dit probleem is een gedragsprobleem. Ik concludeer uit jouw stukje dat hij geen ruimte krijgt omdat hij anders gaat trappen.
Dit moet je anders oplossen. Dat hij naar binnen valt is na een aantal keren zo opgelost. Ik heb het zelf ook gehad.
Gewoon consequent zijn en blijven oefenen. Bijvoorbeeld met dubbele longen is hij eenvoudig naar buiten te sturen en dan
kan je weer stelling gaan vragen.

bello schreef:
Verder heeft het meisje dat hem aan het longeren is hem niet aangeraakt met de zweep .ik was er zelf bij .Verder als jullie denken dat jullie het zo goed kunnen dan nodig ik jullie uit om het zelf eens te komen proberen met hem . Verder is dit de eerste keer dat hij aan de longe loopt en kunnen de reacties ook wel wat minder fel .


Op 0.57 zie ik toch echt een fikse klap of iets wat daar iig op lijkt.

HEt valt me ook erg op dat de enige hulp die word gegeven het dreigen met de zweep is. Probeer het met je stem ipv maar
wat met je zweep te zwaaien.

Ik krijg echt medelijden met die arme pony, vooral omdat je het zelf niet inziet
De pony krijgt of heeft er gewoon rug- en nekpijn van

xxx marleen
Laatst bijgewerkt door _Marleen_ op 04-09-07 18:56, in het totaal 1 keer bewerkt

amigamia

Berichten: 840
Geregistreerd: 09-04-05
Woonplaats: ridderkerk

Re: flugel @ work aan de longe

Link naar dit bericht Geplaatst door de TopicStarter : 04-09-07 18:54

Peppaa schreef:
Die proffecionele hulp is heeel hard nodig, als hij zo vervelend is, waarom longeer je hem dan?! Je kan het niet eens. Doe die bijzet nog strakker joh, misschien luisterd hij dan. Pff, sommige mensen. Dit hadden ze niet bij ons op stal moeten zien zeg. Jullie hebben echt nog een hoop lessen nodig.


verder ben ik het niet die aan het longeren is , maar het meisje dat aan het longeren is doet het voor de eerste keer dus wat vriendelijker mag ook wel. verder weet ik wel wat ik aan het doen ben . die professionele hulp is er gewoon om mijn dochter goed te leren rijden op hem .

vraagteken
Berichten: 386
Geregistreerd: 31-10-06

Re: flugel @ work aan de longe

Link naar dit bericht Geplaatst: 04-09-07 18:55

Ik begrijp niet dat jullie allemaal zoveel commentaar hebben. Ja die bijzet zit te strak, maar hoe kan je nou het gebruik van dubbele longe of een pessoateugel adviseren als je duidelijk ziet dat deze meiden niet veel ervaring hebben. Dan zijn alle hulpteugels teveel! Ook met een pessoa kan je heel veel schade aanrichten als je er niet zorgvuldig mee omgaat. Ik kan alleen maar zeggen: Bello, goed dat je zo'n dikkiedik aan het werk zet, maar niet verstandig om er een 9 jarig meisje op te zetten als hij zo kan slaan. Verder kan je beter de longeerruimte afzetten ipv zo'n kleine cirkel en hulpteugels gebruiken. De pony moet eerst goed luisteren voordat je hemverder kan werken. Succes met je pony!

Casarell

Berichten: 10031
Geregistreerd: 15-02-06
Woonplaats: Drunen

Re: flugel @ work aan de longe

Link naar dit bericht Geplaatst: 04-09-07 18:56

Niet gek dat de pony altijd met zijn hoofd omhoog loopt.
Als je altijd in een houding loopt is omschakelen erg moeilijk, omdat die spieren niet anders gewend zijn.
Maar om em beter aan het lopen te krijgen zal ie toch echt over zijn rug moeten gaan lopen, en dat gaat op deze manier niet lukken.

Het loopje wat ie dan neemt, is daaraan misschien ook wel te wijten.. de pony krijg niet de kans om op eigen benen te lopen.

Ik zou je graag willen laten zien hoe het wel moet, maar woon niet in de buurt.
Of je moet reiskosten willen betalen..

Verder niet banketstaaf bedoeld, maar wat we hier te zien krijgen getuigd van onwetendheid..
Laatst bijgewerkt door Casarell op 04-09-07 18:59, in het totaal 1 keer bewerkt

SharonB

Berichten: 129
Geregistreerd: 24-10-06
Woonplaats: Heiloo

Re: flugel @ work aan de longe

Link naar dit bericht Geplaatst: 04-09-07 18:58

Wat heeft iedereen het toch over een bijzetteugel Scheve mond Als je goed kijkt, is dit geen eens een bijzetteugel, maar zijn gewone teugeltjes Ik heb nog nooit iemand zo zijn paard zien longeren, ook al is hij zo vervelend.
Als ik jullie was, zou ik een hulpteugel kopen waarmee je kunt longeren. (Pessoa, elastiek etc, etc..)
Daarnaast zou ik niet zo in ze mond trekken met galopperen, want op dat filmpje wilde die helemaal er niet vandoor gaan! Frusty Hij werd zelf naar voren gedreven met de zweep. Je ziet duidelijk op het filmpje dat ze iedere keer met de zweep zit te 'drijven'. Als hij er zo snel vandoor gaat, geen zweep zou ik zeggen!

Die pony is misschien wel te dik, maar dan hoeft die longeersingel nog niet zo naar voren te liggen.
Die singel ligt helemaal in ze arme 'okseltjee'.

Die professionele hulp mag snel komen Ziek

_Marleen_

Berichten: 2921
Geregistreerd: 26-12-04
Woonplaats: Edam

Re: flugel @ work aan de longe

Link naar dit bericht Geplaatst: 04-09-07 18:59

bello schreef:
het meisje dat aan het longeren is doet het voor de eerste keer dus wat vriendelijker mag ook wel. verder weet ik wel wat ik aan het doen ben .


Dat ze het de eerste keer doet, ala, ze is 9 jaar, maar jij bent volwassen en je zal het zelf in de hand hebben hoe de pony
word gelongeerd.
Ik denk niet dat je echt weet wat je aan het doen bent, anders zou je de pony wel heel anders longeren...

Ridderkerk ligt volgens mij niet in Noord-Holland, anders had ik dit weekend graag langsgekomen.

xxx marleen